Hiện nay, trên khu vực Tây Bắc Thái Bình Dương đang có cơn bão Trami (tên bão do Việt Nam đề xuất) và được dự báo không đi vào khu vực Biển Đông.
![]() |
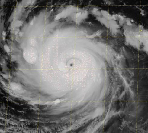
| Ảnh vệ tinh chụp bão Trami. |
![]() |
| Mắt bão. |
Theo dự báo, bão Trami đang hình thành trên khu vực Tây Bắc Thái Bình Dương, cơn bão này đang dược xếp ở Cat 4 trong thang bão 5 cấp của Mỹ, và nó sẽ nhanh chóng đạt tới cấp cao nhất là Cat 5 khi tiến gần đảo Đài Loan (Trung Quốc) và Nhật Bản. Bão Trami được dự báo không đi vào Biển Đông mà hướng lên phía Bắc.
Theo ông Hoàng Phúc Lâm, Phó Giám đốc Trung tâm Dự báo KTTV quốc gia, đây là cơn bão thứ 24 trên khu vực Tây Bắc Thái Bình Dương năm 2018. Trong khoảng 3-5 ngày tới, bão Trami di chuyển chủ yếu theo hướng Tây nhưng ít có khả năng vào Biển Đông.
PV (VOV)

