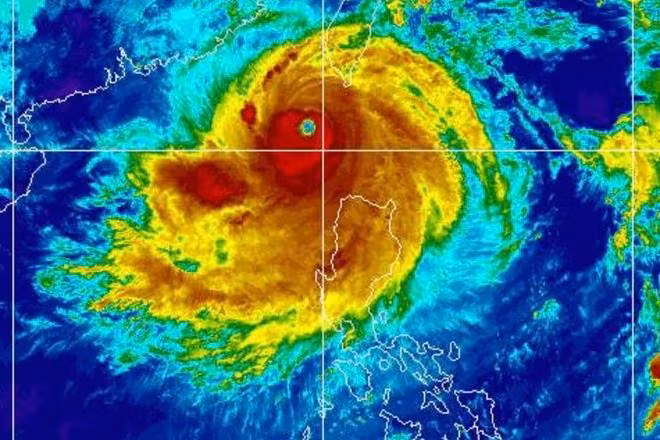
Trung tâm Dự báo khí tượng thủy văn quốc gia cho biết, khoảng 10 giờ ngày 1.10, vị trí tâm siêu bão Krathon (bão số 5) ở vào khoảng 20,7 độ vĩ bắc; 119,6 độ kinh đông, trên vùng biển phía đông bắc khu vực bắc Biển Đông. Siêu bão mạnh cấp 16 (184 - 201 km/giờ), giật trên cấp 17; di chuyển theo hướng tây tây bắc, mỗi giờ đi được 5 km.

Như vậy, sau khi trở thành siêu bão và đi vào khu vực bắc Biển Đông, bão Krathon di chuyển rất chậm, đây là yếu tố giúp siêu bão có tính ổn định cao.
Theo dự báo hiện tại, tâm siêu bão Krathon (bão số 5) không có khả năng ảnh hưởng đến vùng ven biển và đất liền nước ta. Tuy nhiên, việc trong chưa đầy 1 tháng Biển Đông đón 2 siêu bão là điều rất đặc biệt trong mùa mưa bão năm nay.
Cơ quan khí tượng cho biết, khoảng 10 giờ ngày 2.10, tâm siêu bão Krathon (bão số 5) ở vào khoảng 22,1 độ vĩ bắc; 119,7 độ kinh đông; trên vùng biển phía đông bắc khu vực bắc Biển Đông; cách Đài Loan (Trung Quốc) khoảng 110 km về phía nam tây nam. Siêu bão mạnh cấp 16, giật trên cấp 17, mỗi giờ đi được 5 km.



Trong 24 giờ tiếp theo, siêu bão đi vào vùng biển Đài Loan (Trung Quốc) và suy yếu dần.
Khoảng 10 giờ ngày 3.10, bão Krathon ở vào khoảng 24,0 độ vĩ bắc; 121,7 độ kinh đông trên vùng bờ biển phía đông Đài Loan (Trung Quốc). Bão mạnh cấp 13, giật cấp 16, di chuyển mỗi giờ khoảng 10 km và suy yếu.
Từ 72 - 96 giờ tiếp theo, bão di chuyển chủ yếu theo hướng bắc, mỗi giờ đi được khoảng 10 km và tiếp tục suy yếu thêm.
Do ảnh hưởng của siêu bão, vùng biển phía đông bắc khu vực bắc Biển Đông (phía bắc vĩ tuyến 18, phía đông kinh tuyến 116,5) có gió mạnh cấp 10 - 13, vùng gần tâm bão cấp 14 - 16, giật trên cấp 17, sóng biển cao 9 - 11 m, biển động dữ dội.
Tàu thuyền hoạt động trong các vùng nguy hiểm nói trên đều chịu tác động của giông, lốc, gió mạnh, sóng lớn.
Theo Đình Huy (TNO)