

(GLO)- Mỗi mùa mưa bão, các xã vùng núi phía Đông tỉnh lại phải đối mặt với nguy cơ lũ ống, lũ quét và sạt lở đất. Trước tình trạng đó, chính quyền các địa phương đang triển khai nhiều giải pháp nhằm bảo vệ tính mạng, tài sản của người dân.
Dự báo trong 3-6h tới, trên địa bàn thành phố Hà Nội tiếp tục có mưa vừa, mưa to và dông, lượng mưa phổ biến 40-70mm cục bộ có nơi mưa rất to trên 100mm; từ chiều tối và đêm mưa giảm nhanh.
Theo Trung tâm Báo tin động đất và cảnh báo sóng thần, Viện Các khoa học Trái đất, từ chiều 5/10 đến chiều 6/10, hai xã Măng Bút và Măng Ri (Quảng Ngãi) xảy ra 25 trận động đất. Riêng ngày 6/10, đến 16 giờ ghi nhận 15 trận động đất tại khu vực này.
(GLO)- Theo Trung tâm Dự báo khí tượng thủy văn quốc gia, sáng nay (6-11), sau khi đi sâu vào đất liền tỉnh Quảng Tây (Trung Quốc), bão số 11 đã suy yếu thành áp thấp nhiệt đới.
Do ảnh hưởng của bão số 11, từ đêm 5/10 đến hết đêm 7/10, ở khu vực vùng núi, trung du Bắc Bộ có mưa to, lượng mưa phổ biến từ 150-250mm, cục bộ có nơi mưa rất to trên 400mm.
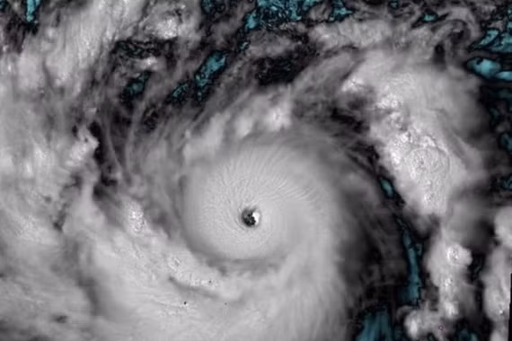
Chuyên gia dự báo, chiều tối nay, bão số 11 Matmo đi vào vịnh Bắc Bộ với cường độ cấp 12, miền Bắc sẽ hứng đợt mưa lớn, nguy cơ cao xảy ra lũ quét, sạt lở vùng núi.
(GLO)- Theo Trung tâm Dự báo khí tượng thủy văn quốc gia, từ đêm 5 đến hết 7-10, ở khu vực vùng núi, trung du Bắc Bộ có mưa to, có nơi rất to. Do ảnh hưởng của hoàn lưu bão rộng, các địa phương trong cả nước cần đề phòng nguy cơ xảy ra giông, lốc và gió giật mạnh.
(GLO)- Cục Khí tượng Thủy văn (Bộ Nông nghiệp và Môi trường) cho biết đang tham vấn các tổ chức liên quan để chính thức đề xuất bỏ tên bão Bualoi trong cuộc họp của Ủy ban Bão quốc tế vào tháng 2-2026.
Bão số 11 (bão Matmo) đã mạnh lên cấp 11, dự báo sẽ đổ bộ Quảng Ninh trong ngày 6.10. Dự báo từ tối mai 5.10, từ Quảng Ninh đến Ninh Bình bắt đầu có gió mạnh.
(GLO)- Ngày 2-10, Ban Chỉ huy Phòng thủ dân sự tỉnh Gia Lai ban hành Công văn số 47/BCH-PCTT về việc chủ động ứng phó với bão Matmo gần biển Đông.
(GLO)- Theo Trung tâm dự báo khí tượng thủy văn quốc gia, sáng sớm 2-10, áp thấp nhiệt đới đã mạnh lên thành bão, tên quốc tế là Matmo.
(GLO)- Theo Trung tâm dự báo khí tượng thủy văn quốc gia, 24-72 giờ tới, áp thấp nhiệt đới sẽ có khả năng mạnh thêm, đi vào biển Đông, gió mạnh cấp 10-11, giật cấp 14.
Ngày và đêm 30/9, khu vực Bắc Bộ tiếp tục có mưa vừa, mưa to, có nơi mưa rất to, tập trung tại Lào Cai và phía nam Phú Thọ. Nhiều nơi trên cả nước có mưa rào và dông, cục bộ có nơi mưa lớn.
(GLO)- Theo Trung tâm Dự báo khí tượng thủy văn quốc giá, trưa nay (29-9), bão số 10 đã di chuyển sang khu vực Thượng Lào, suy yếu thành áp thấp nhiệt đới và không còn khả năng ảnh hưởng trực tiếp đến đất liền nước ta.
(GLO)- Theo dự báo của Trung tâm Dự báo Khí tượng thủy văn quốc gia, chiều nay (29-9), bão số 10 sẽ đi sâu vào đất liền và suy yếu thành áp thấp nhiệt đới, sau đó là một vùng áp thấp.
Bão số 10 gây mưa lớn xối xả tại khu vực Bắc bộ, Bắc Trung bộ, có 10 tỉnh, thành phố nguy cơ xảy ra lũ quét, sạt lở đất.
(GLO)- Theo dự báo của Đài Khí tượng Thủy văn tỉnh, từ đêm 27 đến đêm 28-9 khu vực tỉnh Gia Lai có mưa vừa đến mưa to và giông.
(GLO)- Theo thông tin của Trung tâm Dự báo Khí tượng Thủy văn quốc gia, cơn bão số 10 đang di chuyển theo hướng Tây Tây Bắc với tốc độ nhanh 30-35km/h, gần gấp đôi tốc độ trung bình. Sức gió mạnh nhất vùng gần tâm bão mạnh cấp 12 (118-133 km/giờ), giật cấp 15.
Từ sáng sớm 26/9 đến sáng 27/9, khu vực Đông Bắc Bộ và Nam Phú Thọ có mưa vừa, mưa to và dông, cục bộ có nơi mưa rất to, với lượng mưa phổ biến 30-70mm, cục bộ có nơi trên 150mm.
(GLO)- Ngày 25-9, Chi cục Thủy lợi (Sở Nông nghiệp và Môi trường tỉnh Gia Lai), xác nhận: UBND tỉnh thống nhất giao đơn vị này tiếp nhận, quản lý và vận hành 10 trạm đo mưa tự động do Quỹ Cộng đồng phòng tránh thiên tai tài trợ từ năm 2019.
(GLO)- Đó là yêu cầu của Thường trực Ban Chỉ huy Phòng thủ dân sự tỉnh Gia Lai tại Công văn số 37/BCH-PCTT ngày 25-9, do Phó Giám đốc Sở Nông nghiệp và Môi trường Vũ Ngọc An ký ban hành.
Dự báo từ trưa nay 25-9, bão số 9 Ragasa sẽ đi vào đất liền nước ta, gây gió mạnh cấp 8, giật cấp 9-10 ở ven biển Quảng Ninh đến Hải Phòng.
Trung tâm Dự báo khí tượng – thủy văn quốc gia cho biết, sau khi bão số 9 (Ragasa) đổ bộ miền Bắc, bão số 10 (Bualoi) sẽ tiến vào Biển Đông, tác động trực tiếp đến khu vực giữa và Bắc Biển Đông cũng như đất liền Trung bộ.
Sáng 24/9, sau khi đi vào khu vực biển phía Nam tỉnh Quảng Đông (Trung Quốc), siêu bão Fagasa - bão số 9 - đã giảm cường độ xuống còn cấp 15 (không còn cấp siêu bão).