Bangladesh sơ tán khẩn cấp cả triệu người để tránh bão
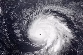
(GLO)-Cơ quan Khí tượng Bangladesh ngày 11/5 cảnh báo bão Mocha có nguy cơ phát triển thành siêu bão đang tiến sát bờ biển ở Đông Nam nước này. Gần 1 triệu dân các vùng ven biển yêu cầu phải sơ tán khẩn cấp.