
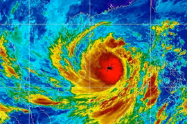
Một cơn bão lớn đã xuất hiện trên vùng biển Philippines
(GLO)- Cơ quan thời tiết Philippines thông báo bão Bebinca đang di chuyển về phía Bắc với tốc độ 30 km/giờ và có khả năng mạnh lên thành cuồng phong vào tối 13/9 (giờ địa phương).
Giá cà phê | Giá trung bình | Thay đổi |
Đắk Lắk | -700 | |
Lâm Đồng | -700 | |
Gia Lai | -700 | |
Đắk Nông | -800 | |
Giá tiêu | 145,000 | 0 |
USD/VND | 26,119 | 0 |
Theo: | giacaphe.com |